Tartalom
A New Dawn mászó rózsa látványos, nagy virágú évelő. Elegáns megjelenése miatt a növényt széles körben használják a helyi terület díszítésére a tervezés különböző stílusirányaiban.

A New Dawn rózsabokrok dekoratív megjelenése az egész nyári szezonban megmaradt.
Tenyésztéstörténet
A mászó rózsa neve New Dawn angol fordításban úgy hangzik, mint "New Dawn". A növényt először az amerikai "Somerset Rose Nursery" óvoda vezette be 1930-ban, a régi, szívós Dr. rügymutációként. Walter Van Fleet (1899).
Ugyanebben az 1930-ban Henry A. Dreher amerikai tenyésztő bemutatta az eredeti New Dawn fajtát. 1931-ben a csodálatos New Down rózsa megkapta első amerikai szabadalmát. 1932-ben a növényt hivatalosan Ausztráliában szabadalmaztatták.
Az új lefelé mászás a múlandó szépség mércéje. A Rózsaközösségek Világszövetségének (WFRS) Hírességek Csarnokában a kultúra büszke a helyére, és "A világ kedvenc rózsája" címet viseli.
2000-ben az Amerikai Rózsa Társaság (ARS) négyszer nagyvirágú hegymászóként szavazta meg a növényt, amely egy újvirágzású, nagyvirágú hegymászó rózsa. 2001-ben a címet Birminghamben megerősítették.

Új Hajnalt a "világ rózsájának" nevezik
A New Down hegymászó rózsafajta leírása és jellemzői
A New Down hegymászó rózsafajta hihetetlenül vonzó varázsa. A kultúra a nagy újra virágzó rózsák népszerű csoportjába tartozik, amelyet a következő jellemzők jellemeznek:
- bokormagasság 2-6 m-ig;
- persely szélessége legfeljebb 2,5 m;
- tüskés hajtások;
- a lomb színe fényes, mélyzöld;
- a virágzat egy vagy racemóz;
- a virágok félig kettősek, csésze alakúak;
- a virág szirmainak száma legfeljebb 40;
- a rügyek színe rózsaszín-porcelán, ezüst-rózsaszín;
- virágátmérő 10-12 cm-ig;
- a virágzatok aromája - a tea rózsa finom illata alma és egzotikus gyümölcsök ízével.
A New Down mászó rózsa virágzása bőségesnek és tartósnak nevezhető. Június-júliusban a régi hajtásokon virágok nyílnak, augusztusban pedig a fiatal hajtásokon a rügyek felveszik a virágzó stafétát.
A tenyészidőszakban a folyó év minden hajtása kivétel nélkül virágzik. Az öreg fán a rügyek intenzívebben képződnek, nagy méretűek. Az egyes egyedek virágzása 1-2 napig tart.

A rózsák nagy száma miatt úgy tűnik, hogy a virágzás folyamatosan tart
A New Dawn rózsa virágainak csodálatos vonása van: napsütéses és meleg időben a szirmok szinte fehérekké válnak, hideg napokon pedig ismét rózsaszínűvé válnak. A napon a virágok krémesre fakulnak, élénk sárga, arany porzóval.
A Clymer New Down sokoldalú növény, amely hegymászás vagy hibrid tea formájában fejlődhet ki. Minden a díszítés alakjától függ:
- alacsony csákánnyal a növény laza szökőkútszerű bokor formáját ölti;
- 1,5 m nagyságú szempillák megcsípésekor - mászó forma mászó bokor formájában, legfeljebb 5 m hosszú szempillákkal.
A vélemények, a leírás és a fotó alapján a New Dawn mászóróza folyamatos varázslatos virágzásával és finom rózsaszínű rügyek magával ragadó aromájával gyönyörködhet.

Bizonyos esetekben a kultúra télbe kezd, minden színtől telve
Előnyök és hátrányok
A New Down hegymászó rózsa csodálatos dekoratív tulajdonságai nem csak a fajta előnyei.

A New Dawn egy rendkívül igénytelen dísznövény, amely alkalmas a "hétvégi nyári lakosok" termesztésére
Előnyök:
- bőséges, hosszan tartó virágzás májustól szeptemberig;
- dekorativitás, számos rügy fokozatos virágzása;
- fagyállóság;
- a fejlődés lehetősége szegény talajon és részleges árnyékban;
- állóképesség, stresszel szembeni ellenállás nehéz körülmények között;
- igénytelen ellátás.
Mínuszok:
- sok tövis a szárakon megnehezíti az ellátást;
- nagy méretű, mivel a kultúrának sok helyre van szüksége a teljes fejlődéshez;
- agresszivitás, az a képesség, hogy elnyomja a kert többi növényének növekedését;
- a rendszeres harisnyakötő és a szempillák vágásának szükségessége.

Teljes erővel az Új Hajnal bokor életciklusának 3-4 évére megnyílik
Reprodukciós módszerek
A New Dawn mászó rózsát otthon vágásokkal szaporítják. Az ültetési anyagot augusztusban készítik elő. A 2-3 levelű megerősített hajtások dugványok, üvegházban vagy kerti ágyban vannak eltemetve, és filmmenedéket biztosítanak.
A növény elhelyezésének kiválasztásakor ügyelnie kell a fő paraméterekre:
- elegendő napfény;
- szél és huzat elleni védelem;
- könnyű talaj;
- leszállóhely - az épületektől és az épületfalaktól 50 cm-nél nagyobb távolságra.
A termést ősszel (szeptember-október) vagy tavasszal (április-május) szabadban kell mozgatni. Ősszel ültetve a növénynek van ideje gyökeret ereszteni és alkalmazkodni a fagy beállta előtt.

Az ősszel egy növény újratelepítésével garantálható, hogy életképes dugványokat kap a következő évre.
Növekvő és mászó gondozása emelkedett New Down
A New Dawn mászórózsák gondozása nem bonyolult mezőgazdasági technika. A növény figyelemhiány mellett is fejlődik.
A növények gondozásának univerzális módszerei:
- Öntözés meleg vízzel este a gyökér alatt, anélkül, hogy a levelekre kerülne. Augusztusban leállítják az öntözést.
- Felső öltözködés szerves és ásványi műtrágyákkal. Tavasszal - kezelés növekedésserkentőkkel (Epin-Extra, Cirkon). Az aktív virágzás időszakában - komplex készítményekkel, nitrogéntartalmú mikroelemekkel történő kezelés. Fahamu takarmányozása - a tenyészidőszakban többször is.
- Bokor kialakulása - a szempillák metszése és megkötése a támaszokhoz.
- A talaj fellazítása és a gyomok eltávolítása.
- A kifakult rügyek levágása a szép megjelenés érdekében.
- Felkészülés a télre. A csapásokat nem vágják le, nem fektetik a földre és nem fedik le.

Néha télen a rózsa hajtásai megfagynak, de tavasszal gyorsan helyreállnak.
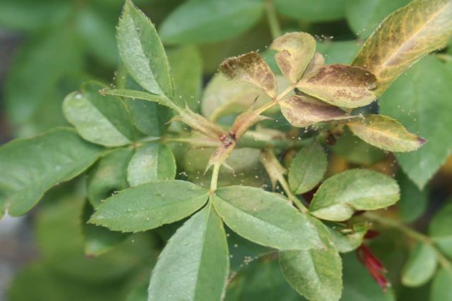
Kártevők és betegségek
A gyönyörű hegymászó rózsa, New Dawn nem muszlin lány. A kultúra erős immunitással rendelkezik, ritkán van kitéve kártevőknek és betegségeknek. Bizonyos esetekben a növényt betegségek befolyásolhatják:
- Lisztharmat, vagy leucorrhoea, egy veszélyes gombabetegség, amely a levelek felső felületén kis fehér foltok képződésével kezdődik. Idővel a gomba a növény minden részét megtámadja. A lisztharmattal teljesen borított bokrokat meg kell égetni.
A leucorrhoea megelőzésére, valamint a gombás fertőzés megnyilvánulásának kezdeti szakaszában a New Down fajta rózsabokrai kezelhetők Bordeaux keverékkel
- Bakteriális rák a kérget és a szárakat különféle kórokozók okozzák. A betegség elleni védekezés a legkorábbi szakaszban a leghatékonyabb.
A bakteriális rák kezelésében a leghatékonyabb gyógyszerek a Heteroauxin, a Fundazol
A dekoratív hegymászó rózsák fő kártevői a következők:
- Levéltetű Veszélyes kártevő, amely felszívja a sejtleveket. A rovarok nagy telepei elpusztítják a lombozatot, a finom rügyeket.
A levéltetvek leküzdésére a népi jogorvoslat arzenáljának különböző tinktúráit használják (fenyő, dohány, paradicsom, fokhagyma, bors, szappan)
- Pók atka növényi nedvekkel táplálkozik. A kártevők aktivitása következtében a rózsa lombja fekete foltokkal borul, megsárgul, leesik.
A pókatkák leküzdésére modern rovarokaricideket használnak (Actellik, Apollo, Floromite)
Hegymászás emelkedett New Dawn tájtervezésben
Az eredeti New Down fajtát csodálatos halvány rózsaszín virágzattal a tájtervezők széles körben használják. Növényeket ültetnek:
- az épületek és az építészeti apróságok falai mentén harisnyakötővel, ventilátor formájában;
- magas rügyek és trelliszek közelében vastag, terjedelmes virágos sapka képződésével, vízszintesen az ágak elhelyezésével és a tetején hajtások harisnyakötőjével;
- magas fák közelében, oszlopok csavarodó ágakkal spirálban.
Az eredeti megjelenés érdekében a New Dawn megható rózsaszín mászófája fényesen virágzó klematiszokkal és más mászófajtákkal keveredik. A Roses New Down és az Indigoletta tökéletesen harmonizálnak a szoros közös ültetvényekben, lehetővé teszik az elegáns tájkompozíciók kialakítását.

A nagy bokor New Dawn rózsa bőséges virágzását a tea rózsa csodálatos aromája kíséri, gyümölcsös utóízzel
Következtetés
Hegymászó rózsa A New Down egy régi kósza fajta. A kultúra már több mint 90 éve rendkívül népszerű a virágüzletek, virágüzletek és területrendezők körében. A finom, rózsaszínű porcelán rügyek fokozatosan virágoznak, a bokrot számos illatos virág tökéletes és elegáns szórásával színezik.
Vélemények a hegymászásról New Down



